Sprungziele
Seiteninhalt

Baugrundstück in Gröningen – flexibel nutzbar für Wohn- und Gewerbeprojekte

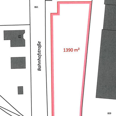
Die Stadt Gröningen bietet ein attraktives Baugrundstück in zentraler Lage der Kernstadt mit einer Fläche von ca. 1.390 m². Das Grundstück ist vielseitig nutzbar und eignet sich für Einfamilienhäuser, Mehrfamilienhäuser, altersgerechtes Wohnen, kleine Wohnprojekte oder gewerbliche Ansiedlungen wie Handwerksbetriebe und Büros. Die Fläche wurde im Oktober 2023 vollständig beräumt und befindet sich in einem Mischgebiet nach § 34 BauGB.

Baugrundstück Gröningen - Mehrfamilienhaus-Projekt
Baugrundstück Gröningen - Mehrfamilienhaus-Projekt
Baugrundstück Gröningen - flexibel nutzbar für Wohn- und Gewerbeprojekte
Baugrundstück Gröningen - flexibel nutzbar für Wohn- und Gewerbeprojekte

Karte wird geladen...

Lage und Infrastruktur des Baugrundstücks in Gröningen

Das Grundstück liegt in der Bahnhofstraße, in unmittelbarer Nähe zu Einkaufsmöglichkeiten, der Gröninger Shopzeile und dem ÖPNV (Bus, ca. 3 Gehminuten).

  • Bildungseinrichtungen: ca. 6 Gehminuten zu Kindertagesstätte, Grundschule, Sekundarschule und Gymnasium

  • Ärztliche Versorgung: Allgemeinmediziner in ca. 5 Gehminuten

  • Freizeit & Einkauf: zahlreiche Einkaufsmöglichkeiten, Gastronomie, Sport- und Freizeiteinrichtungen

  • Verkehrsanbindung: Halberstadt, Quedlinburg und Oschersleben in 10–20 Minuten, Wernigerode, Ilsenburg, Magdeburg und Helmstedt in ca. 30 Minuten

Nutzungsmöglichkeiten – Wohnprojekte und Gewerbe auf ca. 1.390 m²

Dank der Lage in einem Mischgebiet ist die Nutzung besonders flexibel:

  • Einfamilienhäuser für private Bauherren

  • Mehrfamilienhäuser oder kleine Wohnprojekte

  • Altersgerechtes Wohnen oder Betreuungsangebote

  • Kleine Gewerbeprojekte, Handwerksbetriebe, Büros oder Dienstleister


Der Erwerber verpflichtet sich, das Grundstück innerhalb von 2 Jahren zu bebauen.

Sonstiges / Infrastruktur – Anschlusskosten

Alle Versorgungsanschlüsse (Wasser, Abwasser, Strom, Gas, Telekom) sind in der Straße vorhanden und können bei den regionalen Anbietern beantragt werden. Die Abrechnung erfolgt direkt zwischen Erwerber und Versorger.

Orientierende Anschlusskosten:

  • Wasser (TAV, DN 40, bis 10 m Anschluss): 2.230 € zzgl. 7 % MwSt.

  • Abwasser (TAZV): je nach Aufwand

  • Telekom: 799 €

  • DNS:net (Glasfaser-FTTB): auf Anfrage

  • Strom: 1.178,10 € zzgl. 29,75 €/lfm Tiefbau

  • Gas (Avacon): 1.677,90 € zzgl. 29,75 €/lfm Tiefbau

Alle Preisangaben ohne Gewähr.

Kaufpreis und weitere Informationen

Der Kaufpreis beträgt 55,00 EUR/m² zuzüglich anteiliger Kosten für Vermessung, Notar und Gericht. Weitere Informationen erhalten Interessierte bei der Verbandsgemeinde Westliche Börde.

Andrea Lichtenberg

Bauverwaltung - SG Hochbau
Liegenschaften Bereich Süd

Marktstraße 7
39397 Gröningen

+49 39403-158243
+49 39403-158299
a.lichtenberg@westlicheboerde.de
https://www.westlicheboerde.de/

Weitere Informationen zur Stadt Gröningen finden Sie hier.

Interessante Links aus der Stadt Gröningen








Seite zurück Nach oben